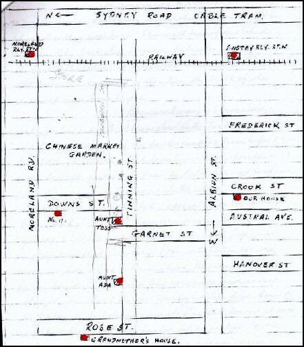
One of Syd's earliest memories is of watching the land at 9 Downs Street being ploughed. The ploughman walked behind the plough holding the reins to control the single horse pulling the plough. After the ploughing, Syd recalls that Dad took him to the lolly shop: a long walk for such a little lad.
Sometimes, a rat would appear in the old stable and then the hunt was on, dogs and all. Armed with sticks, these determined urchins hunted desperately for that rat. Often the rat would escape while in the process the dogs lost some skin from their noses: they would sniff enthusiastically for the rat at the same moment when a stick was descending.
On more than one occasion a rat was discovered in the rubbish bin. We formed a circle, each of us holding a baton. Ern would lift the rubbish bin lid and away would scamper the rat. Sometimes it escaped, but not often. The rat selected Syd as the weakest opponent on one occasion. Syd's stick missed by three inches, but the rat fell dead. Heart failure, for sure!
|
 |